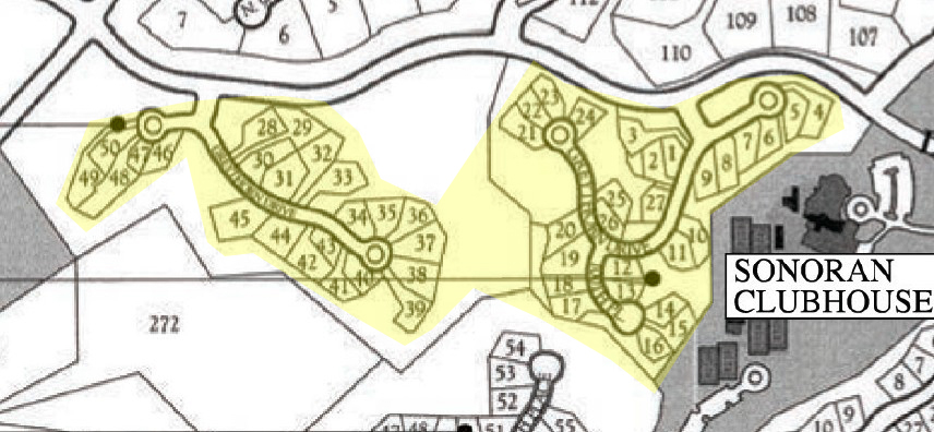
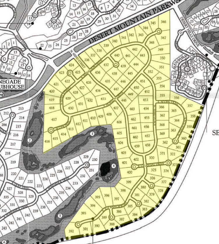
Maps of Desert Mountian
To get a good idea of each village of Desert Mountain layout, click on each village name to see close up.
Thank you for taking a look at our villages. If you would like to go back to our Buyer track page, click here.
If there is any additional information about our villages you are looking for contact us by clicking the button below.
Contact Us


































